来源:本网 发布日期:2024-05-13
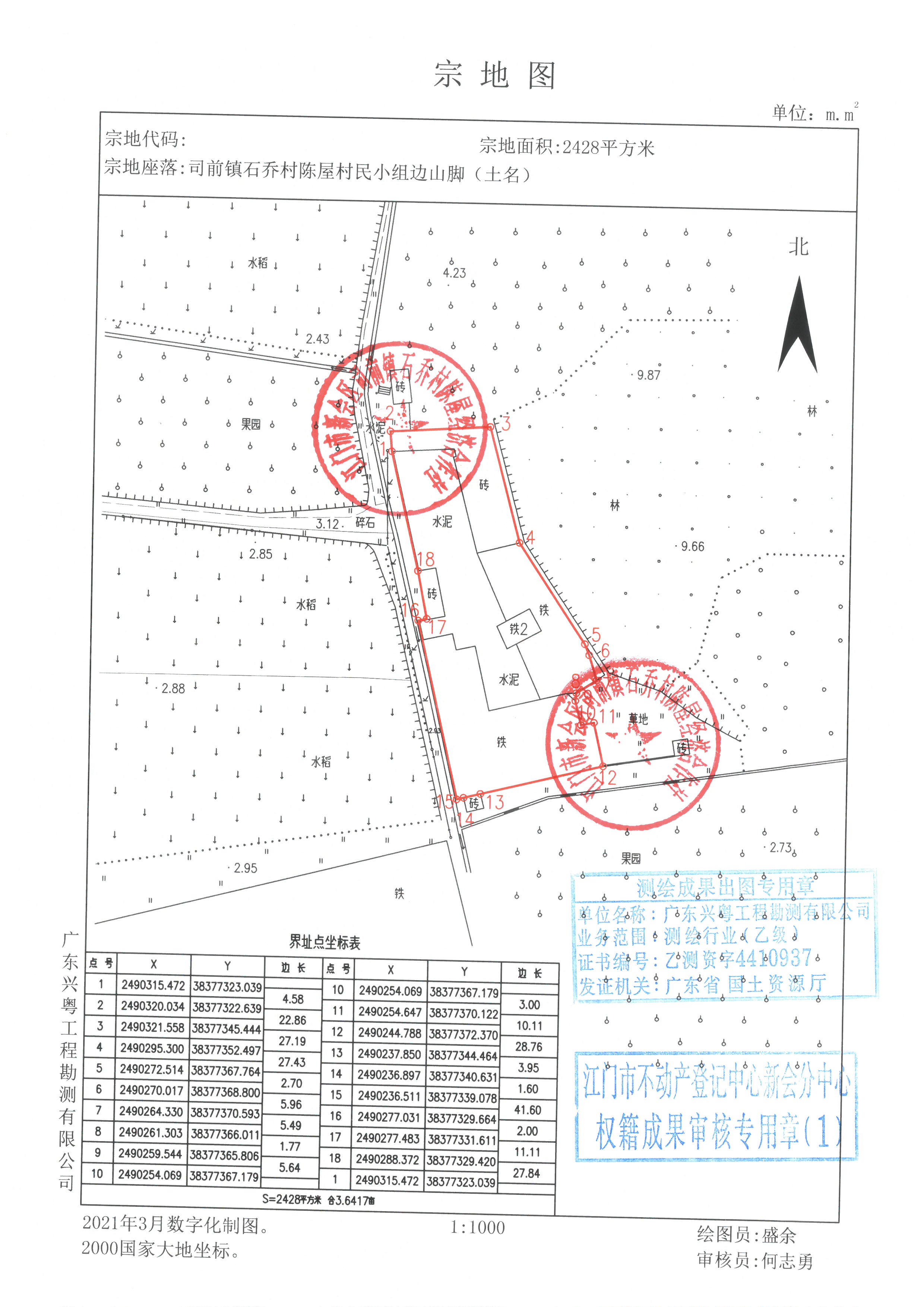
一、地块基本情况 :
二、公示期:2024年5月13日至2024年5月22日
三、意见反馈方式
在公示时限内,任何单位、组织和个人对本公示所列内容有异议的,请以书面材料形式向我局反映。公示期满后,无异议或虽有异议但经审查没有发现存在违反法律法规行为的,我局将依法报有批准权限的人民政府审批。
四、联系方式
联系单位:澳洲幸运5(中国)开奖记录查询站 自然资源局
单位地址:澳洲幸运5(中国)开奖记录查询站 会城街道中心南路17号
邮政编码:529100
联系电话:0750-6322023
联 系 人:邓小姐
澳洲幸运5(中国)开奖记录查询站 自然资源局
2024年5月13日