澳洲幸运5

今天是
关怀版     无障碍     网站支持IPV6
您现在的位置:澳洲幸运5 > 工作机构 > 区政府工作部门 > 澳洲幸运5(中国)开奖记录查询站 自然资源局 > 业务公开 > 建设用地
澳洲幸运5(中国)开奖记录查询站 自然资源局集体建设用地使用权拨用公示
来源:本网    发布日期:2024-04-01

  一、地块基本情况 :

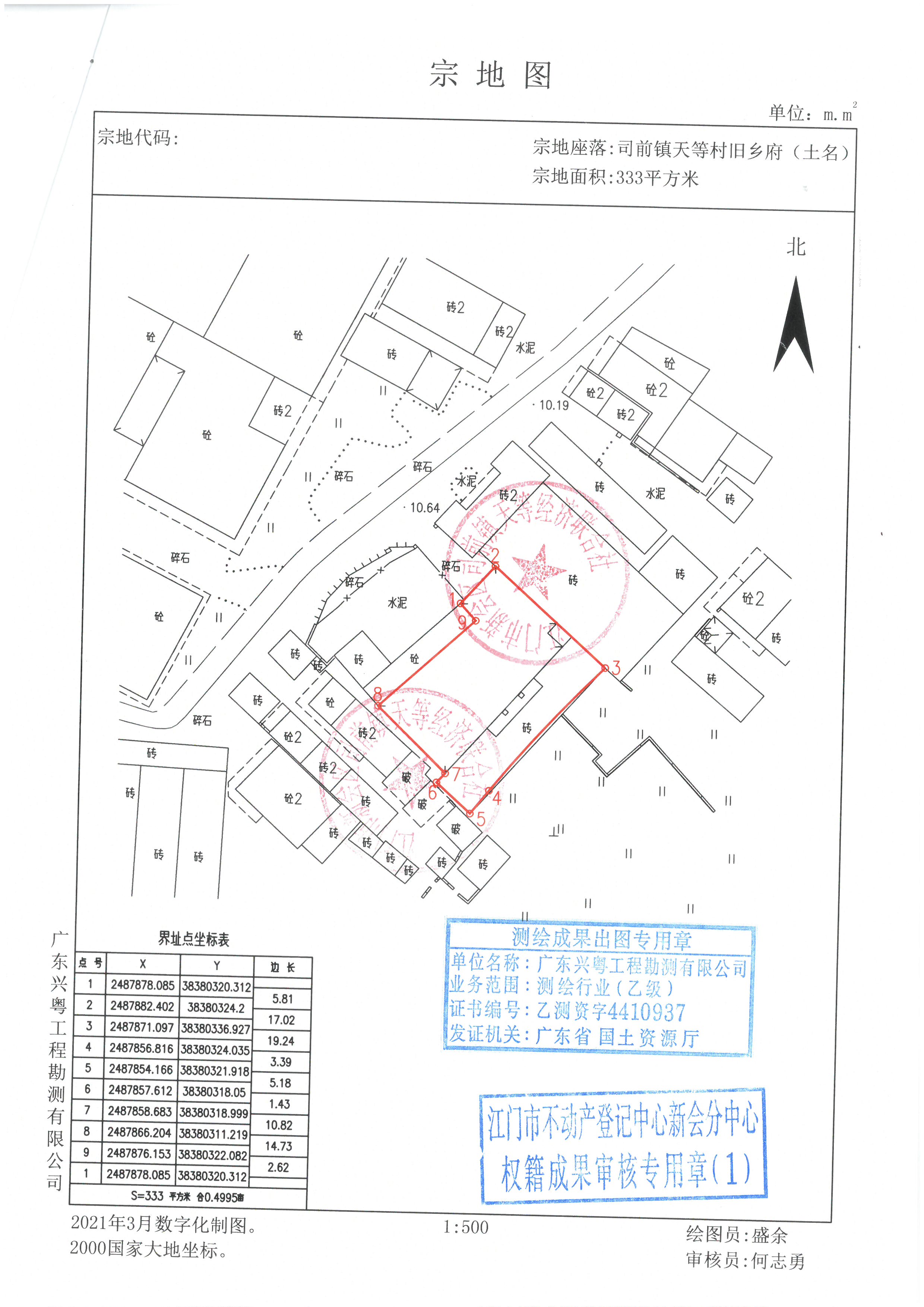
地块位置

司前镇天等村旧乡府(土名)

土地用途

商服用地

土地面积(公顷)

0.0333

项目名称

商铺建设项目

用地单位

澳洲幸运5(中国)开奖记录查询站 司前镇天等经济联合社

备注:


  二、公示期:2024年4月1日至2024年4月10日

  三、意见反馈方式

  在公示时限内,任何单位、组织和个人对本公示所列内容有异议的,请以书面材料形式向我局反映。公示期满后,无异议或虽有异议但经审查没有发现存在违反法律法规行为的,我局将依法报有批准权限的人民政府审批。

  四、联系方式

  联系单位:澳洲幸运5(中国)开奖记录查询站 自然资源局

  单位地址:澳洲幸运5(中国)开奖记录查询站 会城街道中心南路17号

  邮政编码:529100

  联系电话:0750-6322023

  联 系 人:邓小姐

  

  

澳洲幸运5(中国)开奖记录查询站 自然资源局

2024年4月1日