澳洲幸运5

今天是
关怀版     无障碍     网站支持IPV6

澳洲幸运5(中国)开奖记录查询站 自然资源局国有土地划拨用地批前公示

来源:本网    发布日期:2025-03-11

  一、地块基本情况

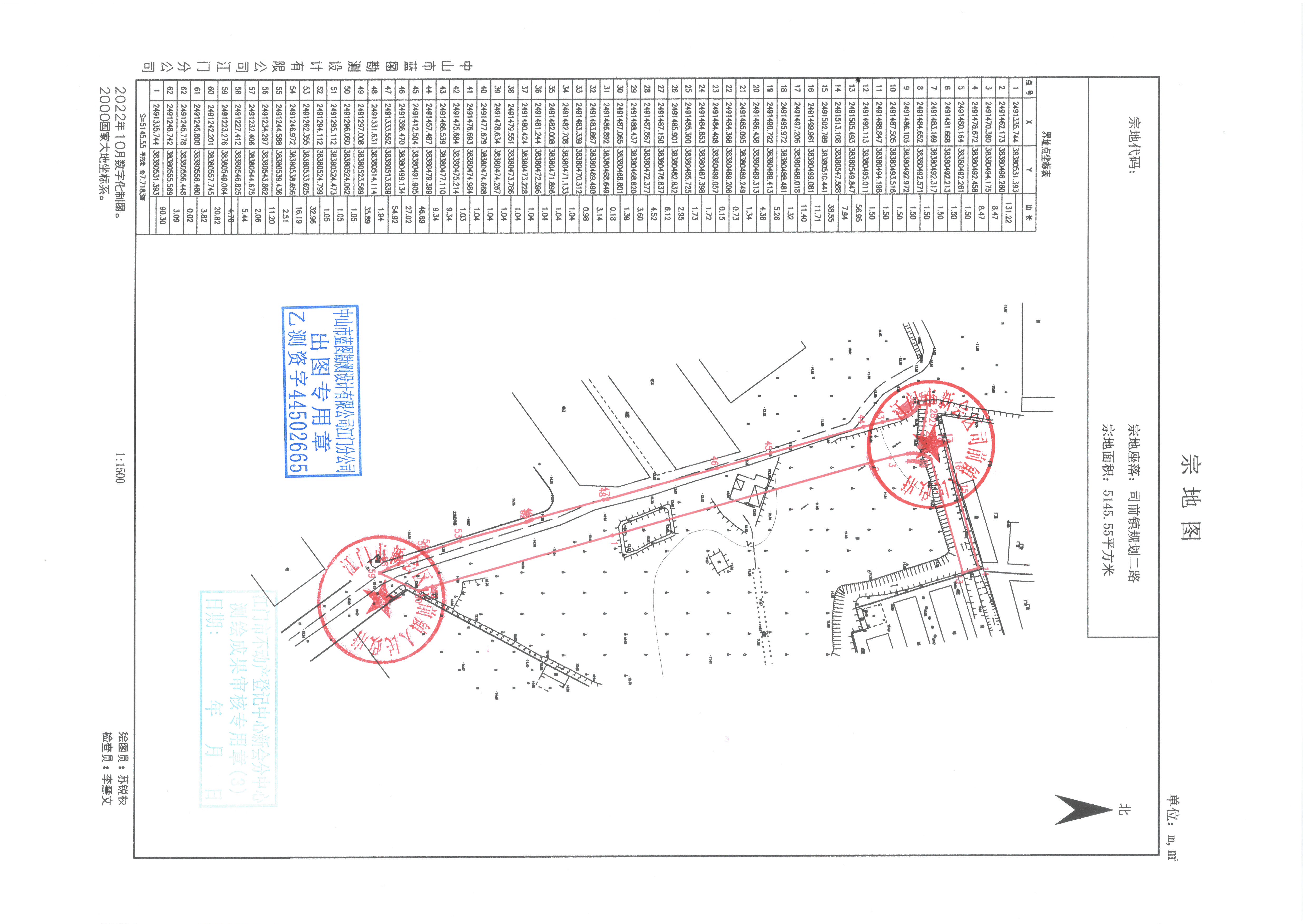
地块编号

HB2025-009

地块位置

司前镇规划二路

土地用途

城镇村道路用地

土地面积(公顷)

0.514555

项目名称

镇内市政道路项目

用地单位

澳洲幸运5(中国)开奖记录查询站 司前镇人民政府

备注


  二、公示期:2025年3月11日至2025年3月21日

  三、意见反馈方式

  在公示时限内,任何单位、组织和个人对本公示所列内容有异议的,请以书面材料形式向我局反映。公示期满后,无异议或虽有异议但经审查没有发现存在违反法律法规行为的,我局将依法报有批准权限的人民政府审批。

  四、联系方式

  联系单位:澳洲幸运5(中国)开奖记录查询站 自然资源局

  单位地址:澳洲幸运5(中国)开奖记录查询站 会城街道中心南路17号

  邮政编码:529100

  联系电话:0750-6322023

  联 系 人:邓小姐



  澳洲幸运5(中国)开奖记录查询站 自然资源局

  2025年3月11日